ArcticDEMで描いたエイヤフィヤトラヨークトル火山(航空機を停めた2010年噴火で有名) pic.twitter.com/wc7latCGTO
— うさはかせ Prof.Lièvre (@usa_hakase) November 20, 2023
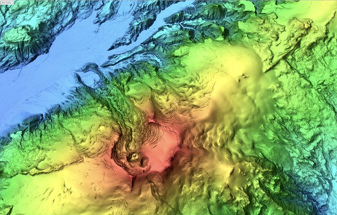
IcelandDEM2mメッシュで描いたエイヤフィヤトラヨークトル火山。2010年噴火の跡が生々しい。 pic.twitter.com/9kSqomCfoG
— うさはかせ Prof.Lièvre (@usa_hakase) February 20, 2025
エイヤフィヤトラヨークトル2010年4月噴火を起こした山頂火口(同年8月撮影) pic.twitter.com/04yk8pjMr7
— うさはかせ Prof.Lièvre (@usa_hakase) September 5, 2019
エイヤフィヤトラヨークトル山頂火口のまわりの氷河にできたコールドロン(環状陥没割れ目)。本来は白い氷河だが噴火直後の火山灰で黒く染まっていた。2010年8月撮影 pic.twitter.com/1wI2xwu1A0
— うさはかせ Prof.Lièvre (@usa_hakase) September 5, 2019
エイヤフィヤトラヨークトル2010年噴火では北山腹を下る氷岩の末端から氷河バースト(ヨークルフロイプ)が起きた。その現場(同年8月撮影) pic.twitter.com/o46OsLPOss
— うさはかせ Prof.Lièvre (@usa_hakase) September 5, 2019
エイヤフィヤトラヨークトル噴火のさいに氷河バーストが発生した現場(2010年8月撮影) pic.twitter.com/5PbfqipoNt
— うさはかせ Prof.Lièvre (@usa_hakase) September 5, 2019

コメント